どんなダイビングした?今日の天気は?季節ならではの風景は? 日誌を通じて、島の魅力を皆様と共有してゆきます。
ミナミクロダイ(チン)ダイバーにも釣り人にも興味深いお魚!
2017/01/09
気温20℃
今日は、ダイバーにとっても釣り人にとっても、興味深い画像の掲載を~。
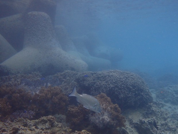
水面近くを泳ぐ、ミナミクロダイ。体長30センチほど。
沖縄の海で遊ぶダイバーにとっては、普段のボートダイビングでは出会う機会があまりないお魚。あるいは、出会ったことがない方もいるかも?ですねぇ。
釣り好きの方には「チン」の方言名で親しまれる、非常に魅力的な対象魚。なので、水中でのその様子を見るのは、嬉しい機会になりますネ。

昨日、今日、荒れた海が続いているので、今日のブログは過去撮影のお魚画像を使っての更新です。

沖縄本島、ビーチエントリーで遊ぶ、このポイント。
潜降と同時に、目の前をチンが泳ぎます。
行けば毎回、同じあたりにいるので、ぜひじっくり観察を!撮影を!という方は、ご一緒しましょう~。

サザンアイランダーのfacebookには、集団で泳ぐ彼らの様子を動画で掲載しましたヨ。
こちらも興味深いと思います、ぜひどうぞ♪
さて、北寄りの風が猛烈に吹いている昨日、今日の沖縄。この連休は、残念ながら、海遊びには適さない荒天となってしまいました。
気温も、終日19度20度と横ばい状態。大きく下がることはないけれど、大きく上がることもなく。しかも、気温19度で北風強く…という状況の時には、実際の体感温度はも~っと低いんですよねぇ。ブルッ!
そんなワケで、今日は久々に、というか、今季まだ数回目…の長袖を着て、しかも窓まで閉めて…の防寒対策で、室内業務に励むサザンアイランダーなのでした。
つい先日は、窓全開でも暑くて暑くて…扇風機回してたのに(笑)
【海】ドライスーツ、または5ミリウェットスーツ+フードベスト
船上ではボートコートを
【陸上】長袖+羽織物



